Dipsocoridae
Dipsocoridae – Zıplayan Yaprak Altı Böcekleri
(Latince: "dipso" = çiftleşmek, "coris" = böcek; kelime kökeni açık değil, ancak “nemli zemin böcekleri” olarak bilinir)
Bilimsel Sınıflandırma
- Alem: Animalia – Hayvanlar
- Şube: Arthropoda – Eklem bacaklılar
- Sınıf: Insecta – Böcekler
- Takım: Hemiptera – Yarım kanatlılar
- Alttakım: Heteroptera – Gerçek yarım kanatlılar
- İnfra takım: Dipsocoromorpha
- Familya: Dipsocoridae Dohrn, 1859
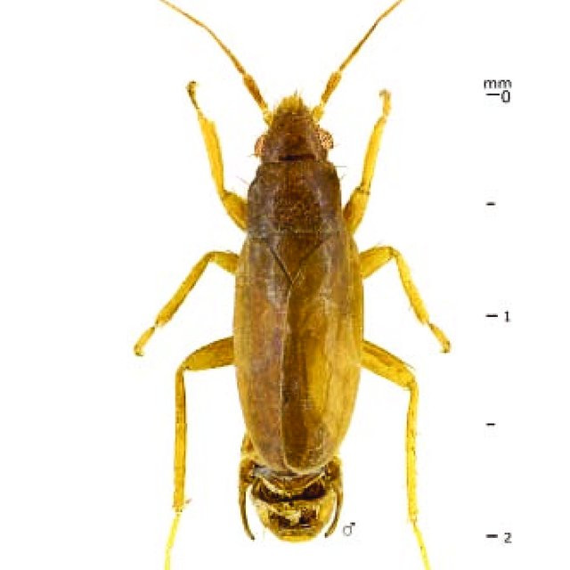
Morfolojik Özellikler
- Boyut: Genellikle 1–3 mm uzunlukta, mikroskobik incelemeyle tanımlanabilir.
- Gövde: Yassı, geniş omuzlu ve köşeli thorax; bazen oldukça küçük ve yuvarlak vücutlu bireyler de görülür.
- Antenler: Dört segmentli; son segmentler tüylü, ince ve uzun.
- Göz yapısı: Hem birleşik gözler hem de ocelli (basit gözler) bulunabilir.
- Kanatlar: Ön kanatlar belirgin segmentli ve ağ benzeri; bazı türlerde kanatsız formlar da gözlenebilir.
- Bacaklar: Sıçramaya uyarlanmış güçlü arka bacaklara sahiptir.
Habitat ve Ekolojik Rol
- Yaşam Alanı: Nemli orman altı katmanı, yosun örtüsü, taş altları, çürümüş yaprak kümeleri.
- Ekolojik rolü: Mikropredatör (küçük omurgasızlarla beslenir) veya saprofag (çürümüş organik maddeyle beslenebilir).
- Özellikle tropikal ve nemli bölgelerde yoğunlaşmışlardır, ancak Palearktik kuşakta da bulunurlar.
Yaşam Döngüsü ve Davranış
- Üreme: Yumurta ile çoğalırlar; dişiler yumurtalarını nemli yüzeylere bırakır.
- Gelişim: Yarım başkalaşım (hemimetabolous); nimfler erişkinlere benzer.
- Aktivite: Çoğunlukla gece aktiftirler, oldukça hızlı hareket eder ve gerektiğinde zıplarlar.
Türkiye’deki Varlığı
- Türkiye’den kayıtlı Dipsocoridae türü henüz sınırlı sayıdadır, ancak özellikle Karadeniz ve Marmara bölgesinin nemli orman altı habitatlarında potansiyel tür çeşitliliği mevcuttur.
- Yaygın olmasa da Cryptostemma, Pachycoleus gibi cinslerin bazı bireyleri gözlemlenmiştir.
İnsana Zararlılık Durumu
İnsanlara zararlı değildir. Isırmaz, zehirli değildir. Tamamen doğal yaşam döngüsüne adapte olmuş ve insanla teması olmayan bir gruptur.
İlginç Bilgiler
- Kanatlarının ağsı yapısı nedeniyle mikroskop altında oldukça dekoratif bir görüntüye sahiptirler.
- Fosil kayıtları Eosen dönemine kadar uzanır; bu da familyanın çok eski bir soy olduğunu gösterir.
- “Zıplayan yer böcekleri” adı, güçlü arka bacaklarıyla ani sıçrama yeteneklerine dayanır.
Yanlış Bilinenler ve Efsaneler
- Efsane 1: Bu böcekler ev ortamında görülür.
- Gerçek: Hayır, bu familya yalnızca orman zeminine özgüdür.
- Efsane 2: Görünmediği için nadirdir.
- Gerçek: Görülmesi zordur ama bazı bölgelerde oldukça yaygındır; sadece mikroskobik boyutta oldukları için fark edilmezler.
- Efsane 3: Zehirlidir.
- Gerçek: Zehirli değildir, ısırmaz ve insanla etkileşimi yoktur.
Bilgi ve araştırma: Ahmet Taşçı – Yaban Hayatı Bilimcisi
Kaynaklar
- Weirauch, C. et al. (2019). Dipsocoromorpha systematics and microhabitat associations.
- Schuh, R. & Slater, J. (1995). True Bugs of the World (Hemiptera: Heteroptera).
- iNaturalist.org – Dipsocoridae kayıtları
- Péricart, J. (1996). Hémiptères Hétéroptères de l'Europe occidentale.
Fotoğraflar
- Dipsocoridae (Cryptostemma sp.): Fotoğraf: Janus Olajuan Boediman – iNaturalist (CC BY 4.0)






